Description
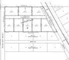
NO SPECIALS! Come check out these beautiful lots on the west side of Colfax! These huge 1+ acre lots are perfect to build a new shop! Colfax offers a two year $150K tax exemption to help save even more money off taxes! Colfax is a fast growing community that is a short drive to either Fargo or Wahpeton. Call your favorite realtor to find out more! *Lot lines are estimated on the photos
Listing courtesy of REAL (2534 FGO).Description
NO SPECIALS! Come check out these beautiful lots on the west side of Colfax! These huge 1+ acre lots are perfect to build a new shop! Colfax offers a two year $150K tax exemption to help save even more money off taxes! Colfax is a fast growing community that is a short drive to either Fargo or Wahpeton. Call your favorite realtor to find out more! *Lot lines are estimated on the photos
IDX data © 2026 Regional Multiple Listing Service of Minnesota, Inc. All rights reserved. The data relating to real estate for sale on this web site comes in part from the Broker Reciprocity℠ Program of the Regional Multiple Listing Service of Minnesota, Inc. Real estate listings held by brokerage firms other than Keller Williams Realty Integrity Lakes are marked with the Broker Reciprocity℠ logo or the Broker Reciprocity℠ thumbnail logo (a little black house) and detailed information about them includes the name of the listing brokers. Keller Williams Realty Integrity Lakes is not a Multiple Listing Service, nor does it offer MLS access. This website is a service of Keller Williams Realty Integrity Lakes, a broker Participant of the Regional Multiple Listing Service of Minnesota, Inc. Information deemed reliable but not guaranteed. By viewing the listings on this site, you are agreeing to abide by the RMLS End-User License Agreement. Data last updated 2026-03-10T00:22:09.483.
Click here for Digital Millennium Copyright Act
