Description
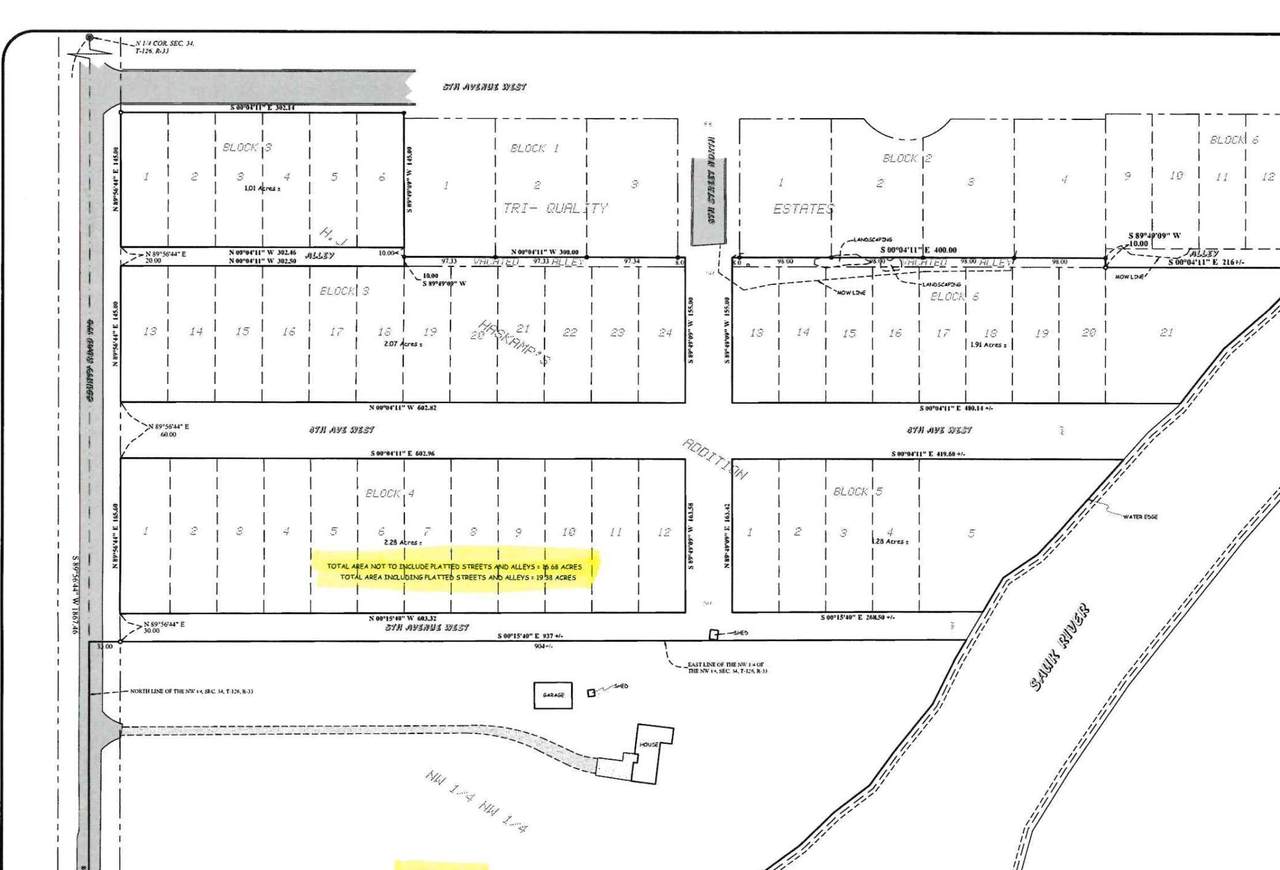
Discover a rare opportunity on the scenic Sauk River in Melrose, MN! This 11.25-acre parcel offers the perfect blend of natural beauty and future potential. Whether you’re looking to build your dream home or invest in residential development, this property is already zoned to be platted for residential use—making it as practical as it is beautiful. Tucked away for privacy yet close to town amenities, this riverside parcel is where possibilities meet tranquility.
Listing courtesy of New London Real Estate, Inc..Description
Discover a rare opportunity on the scenic Sauk River in Melrose, MN! This 11.25-acre parcel offers the perfect blend of natural beauty and future potential. Whether you’re looking to build your dream home or invest in residential development, this property is already zoned to be platted for residential use—making it as practical as it is beautiful. Tucked away for privacy yet close to town amenities, this riverside parcel is where possibilities meet tranquility.
IDX data © 2026 Regional Multiple Listing Service of Minnesota, Inc. All rights reserved. The data relating to real estate for sale on this web site comes in part from the Broker Reciprocity℠ Program of the Regional Multiple Listing Service of Minnesota, Inc. Real estate listings held by brokerage firms other than Keller Williams Realty Integrity Lakes are marked with the Broker Reciprocity℠ logo or the Broker Reciprocity℠ thumbnail logo (a little black house) and detailed information about them includes the name of the listing brokers. Keller Williams Realty Integrity Lakes is not a Multiple Listing Service, nor does it offer MLS access. This website is a service of Keller Williams Realty Integrity Lakes, a broker Participant of the Regional Multiple Listing Service of Minnesota, Inc. Information deemed reliable but not guaranteed. By viewing the listings on this site, you are agreeing to abide by the RMLS End-User License Agreement. Data last updated 2026-03-09T19:21:44.613.
Click here for Digital Millennium Copyright Act
